香川県さぬき市大川町の売土地土地【さぬき市大川町売り土地(B)】(SL008007)の詳細情報です。

さぬき市大川町 売土地 546.00m2

おすすめPoint

住宅、店舗、倉庫、資材置き場等に適す。

  • さぬき市大川町売り土地(B)
  • 物件番号:SL008007
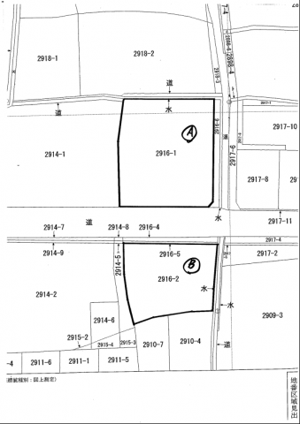
  • 香川県さぬき市大川町2916-2
  • 価格 440.0万円
坪単価2.7万円 建ぺい率70% 容積率200%
交通筒野バス停徒歩5分

画像

物件概要

所在地 香川県さぬき市大川町2916-2
都市計画 無指定 地目
用途地域 無指定 委任方式 専任
設備条件 農地につき転用手続き要す。 送電線路地役権設定あり。
取引形態 仲介 引渡日 --
情報更新日 2026/01/06 情報有効期限 2026/03/31

物件所在地

取り扱い不動産会社

(有)フォーチュン

(有)フォーチュン

TEL:087-841-6857

営業時間:09:00~18:00
定休日:年末年始・夏期

住所:高松市屋島西町1949-7

会社詳細

(有)フォーチュンの他の物件

(有)フォーチュンの他の物件
  • 価格 1000.0万円
  • 売土地
  • 綾歌郡綾川町萱原766-1

詳細を見る

(有)フォーチュンの他の物件
  • 価格 200.0万円
  • 売土地
  • さぬき市大川町

詳細を見る

(有)フォーチュンの他の物件
  • 価格 730.0万円
  • 売土地
  • さぬき市大川町2916-1

詳細を見る

(有)フォーチュンの他の物件
  • 価格 300.0万円
  • 売土地
  • さぬき市志度5006-230

詳細を見る

この物件に似た物件

この物件に似た物件
  • 価格 250.0万円
  • 売土地
  • さぬき市津田町津田2563-3

詳細を見る

この物件に似た物件
  • 価格 200.0万円
  • 売土地
  • さぬき市大川町

詳細を見る

この物件に似た物件
  • 価格 730.0万円
  • 売土地
  • さぬき市大川町2916-1

詳細を見る

この物件に似た物件
  • 価格 300.0万円
  • 売土地
  • さぬき市志度5006-230

詳細を見る

最近閲覧した物件

最近閲覧した物件
  • 価格 400.0万円
  • 売土地
  • 高松市牟礼町牟礼495-18

詳細を見る